|
Login to view Description
| Login to view Features |
| Login to view Schools |
| ADDITIONAL DETAILS | |
| Login to view Additional Details |
MORTGAGE CALCULATOR
TOTAL MONTHLY PAYMENT
0
P
I
*Estimate only
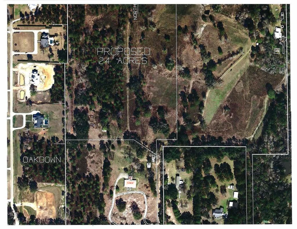
| SATELLITE VIEW |
| / | |
We respect your online privacy and will never spam you. By submitting this form with your telephone number
you are consenting for Nga
Nguyen to contact you even if your name is on a Federal or State
"Do not call List".
Listing provided by Susan Ice, Hill Spooner & Elliott Inc
IDX information is provided exclusively for consumers’ personal, non-commercial use, that it may not be used for any purpose other than to identify prospective properties consumers may be interested in purchasing.
Data is deemed reliable but is not guaranteed accurate by the MLS.
This IDX solution is (c) Diverse Solutions 2026.
